El huracán Melissa continúa su desplazamiento hacia el oeste con vientos de hasta 250 km/h, amenazando a Jamaica
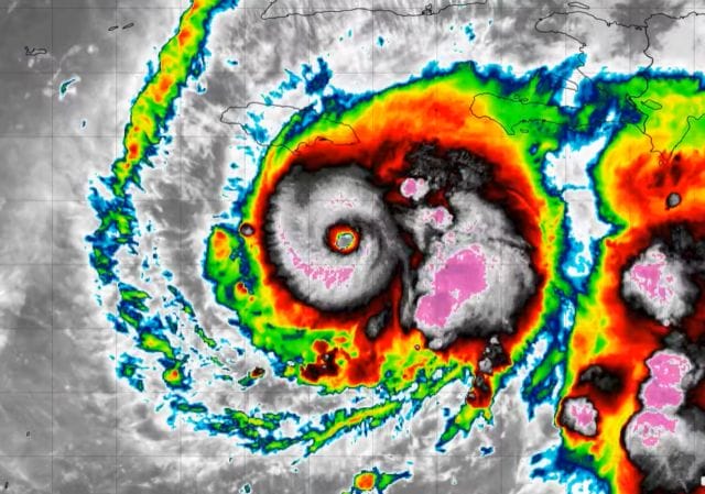
CLIMA.- El huracán Melissa ha alcanzado la categoría 4 en la escala Saffir-Simpson durante la mañana de este domingo, consolidándose como uno de los sistemas tropicales más intensos de la temporada y con potencial de convertirse en un poderoso huracán categoría 5 en el Caribe, según los reportes meteorológicos más recientes.
Te puede interesar: Detención del abogado de las víctimas del fatal accidente en Altabrisa desata polémica
De acuerdo con el pronóstico del Centro Nacional de Huracanes (NHC, por sus siglas en inglés), Melissa mantiene vientos máximos sostenidos de 220 km/h y rachas de hasta 250 km/h, con una presión mínima central de 952 milibares. El fenómeno se desplaza lentamente hacia el oeste a una velocidad de 7 km/h, ubicándose a poco más de 1,200 kilómetros al este-sureste de la isla de Cozumel, Quintana Roo.
Las autoridades meteorológicas advirtieron que el huracán Melissa continúa amenazando directamente a Jamaica, el centro-oriente de Cuba y Haití, donde ya se han emitido alertas y avisos preventivos ante la posibilidad de lluvias torrenciales, marejadas ciclónicas y vientos destructivos.
El meteorólogo Juan Vázquez Montalvo, de la Universidad Autónoma de Yucatán (UADY), informó que Melissa podría intensificarse aún más en las próximas 24 horas, alcanzando la categoría 5 antes de iniciar un recurvamiento hacia el norte el lunes.
“Se espera que Melissa se fortalezca gradualmente durante este domingo y que alcance su punto máximo como un huracán extremadamente peligroso”, detalló el especialista, quien pidió a la población mantenerse informada únicamente a través de los canales oficiales.
En cuanto a la península de Yucatán, los pronósticos señalan que Melissa no representa peligro o amenaza directa, debido a su distancia y trayectoria prevista. No obstante, los meteorólogos recomiendan estar atentos a posibles cambios en su comportamiento, pues los huracanes de gran intensidad pueden modificar su curso de forma repentina.
Síguenos en Google News




